Advice for the Home Gardener from the Help Desk of the
UC Master Gardener Program of Contra Costa County

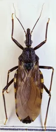
Client's Request (visiting at the MG/Ag Office at 2380 Bisso Ln, Concord): I found these insects (see below) inside my house in my closet. A friend of mine thought they might be “kissing bugs”. Would you please identify them, what their presence and problems they might cause, and recommend what I should do about them?

The common name of the insects you brought in is the leafhopper assassin bug. Scientific name is Zelus renardi. The leafhopper assassin bug is considered a beneficial insect in that it feeds on other insects, including pests such as caterpillars of the cabageworm butterfly, leafhoppers, and aphids. Here is a link to some University of California information about the insect: http://ipm.ucanr.edu/PMG/NE/assassin_bugs.html
When you were in our offices, you said you hoped that the insects were not “kissing bugs”. You might be interested to learn that assassin bugs and kissing bugs are closely related in that they belong to the same insect family—the Reduviidae family. Apparently, assassin bugs are often confused with kissing bugs. The feeding habits of the two insect lines are quite different--kissing bugs feed on the blood of mammals (including humans). Here is a link to UC's information on the kissing bug side of the family: http://ipm.ucanr.edu/PMG/PESTNOTES/pn7455.html
You might be interested in reading this blog article which talks about the differences between assassin bugs like the ones you found and the kissing bugs: https://ucanr.edu/blogs/blogcore/postdetail.cfm?postnum=24611
It's hard to know how one of the assassin bugs found its way into your closet. I wonder if perhaps it flew in through a window or door and somehow made its way to your closet. In doing my research I found this story on the website for the Marin/Sonoma Mosquito/Vector Control District: https://www.msmosquito.com/the-bug-blog/2012/03/leafhopper-assassin-bug. It describes an encounter a citizen had with an assassin bug that had somehow found its way into the citizen's bed. As described in the link, the assassin bug can inflict a painful bite if they encounter a threat, but they don't seek to bite humans or other mammals.
Since I have determined that your insects are “beneficial” predators, I'll take them home and release them in my vegetable garden area. Since assassin bugs are not typically pests, you probably don't need to take any action. If you should find others in your house, you might want to be careful about leaving doors or windows open which could allow them a way into the house.
Hope this information is helpful. If you have other questions, you are welcome to contact our Help Desk. We're open Monday through Thursday from 9 a.m. to noon and are also here to support the Ag Dept on Thursday afternoons. You are welcome to stop by or you can phone us or email us to save yourself a drive.
Help Desk of the UC Master Gardener Program of Contra Costa County (TKL)
Note: UC Master Gardeners Program of Contra Costa's Help Desk is available almost year-round to answer your gardening questions. Except for a few holidays (e.g., last 2 weeks December), we're open every week, Monday through Thursday for walk-ins from 9:00 am to Noon at 2380 Bisso Lane, Concord, CA 94520. We can also be reached via telephone: (925) 608-6683, email: ccmg@ucanr.edu, or on the web at http://ccmg.ucanr.edu/Ask_Us/. MGCC Blogs can be found at http://ccmg.ucanr.edu/HortCoCo/ You can also subscribe to the Blog (//ucanr.edu/blogs/CCMGBlog/)